Un viaje a Indonesia no queda completo sin unas buenas inmersiones. Bucear en Gili le ha puesto la guinda al pastel de nuestra visita a Indonesia. En todo caso, hay mucha gente que viene a Gili simplemente por el relax, que se obtiene, pero en mi opinión si no es para bucear, tal vez prefieras aprovechar el tiempo en otros destinos.
En Gili Air encontramos dos clubs de buceo. Nosotros hicimos todas las inmersiones con Blue Marine Dive y puedo recomendarlo sin ningún pero. Comparado con el resto de infraestructuras de la isla, nos pareció un club bastante grande y con mucho personal. Hay también varios extranjeros con lo que consiguen hablar varios idiomas (no sólo inglés), para aquellos que quieran dar cursos. Todo el material que yo recuerde era Aqualung, en general bien, pero ojo que sólo tienen shorties. Obviamente el agua está caliente y no hace falta más, pero si eres friolero, tal vez bajes más a gusto con algo más. Aunque en principio puede parecer que hay mucha gente, los grupos se reparten y nosotros bajamos siempre en grupos de máximo cinco, seis personas por guía.
En 2014, cada inmersión está a 24€, precio final, incluyendo todo el material. Como suele pasar en estos destinos, esto es "Fun dive", es decir, que el personal se encarga de todo (no como en España). Una vez asignado el equipo, tu sólo te subes al barco y te dejas llevar.

Cada día programan las inmersiones para el día siguiente. A las 8:30, 11:30 y 14:30. En nuestro caso, haciendo cinco en total (dos cada mañana de las tres programadas) no hemos repetido ninguna. Pero si ya hubiéramos hecho una sexta, habríamos repetido, lo que tampoco importa mucho.
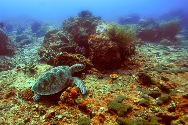
Los dos días de inmersión hemos estado con el guía Stephan, un tío súper majo, con buen nivel de inglés y muy atento en todo momento durante las inmersiones. Nos ha enseñado muchas cosas y ha hecho con lo pasáramos muy bien: tiburones, mantas, tortugas, peces payaso, escorpión, trompeta, yo qué sé, un montón de vida.


Y el coral. Una cosa alucinante. Cuando volvamos al Mediterráneo y sus poseidoneas ya no va a ser lo mismo.
En definitiva, una experiencia súper recomendable. No recomiendo tanto el snorkel, en comparación con el buceo. Los corales que vas a ver no se asemejan ni de lejos y en nuestra experiencia, con la marea, los corales, sin cangrejeras... fue más un desastre que otra cosa. Después de bucear, mejor escoger un buen chiringuito y tirarte a la bartola.
No hay comentarios:
Publicar un comentario